Société Immobilière Grand Hainaut 03 27 14 80 80 Nous contacter
Rue Victor Hugo-Allée des Myosotis-Rue Jules Pétillon à Escaudain

Publié le 14 juin 2023

Référence : Résidence du Château d'eau

Rue Victor Hugo-Allée des Myosotis-Rue Jules Pétillon à Escaudain

A Partir de 42 000 €
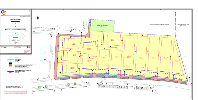
N° de lot
Surface totale
Façade
Etat
Prix
Lot :n° Lot n°1
Surface total :698m²
Façade :20m²
Etat :Vendu
Prix :42 000 €
Lot :n° Lot n°2
Surface total :578m²
Façade :21m²
Etat :Disponible
Prix :42 000 €
Lot :n° Lot n°3
Surface total :559m²
Façade :16m²
Etat :Vendu
Prix :42 000 €
Lot :n° Lot n°4
Surface total :469m²
Façade :17,50m²
Etat :Vendu
Prix :42 000 €
Lot :n° Lot n°5
Surface total :486m²
Façade :18m²
Etat :Vendu
Prix :42 000 €
Lot :n° Lot n°6
Surface total :494m²
Façade :21m²
Etat :Vendu
Prix :42 000 €
Lot :n° Lot n°7
Surface total :552m²
Façade :16m²
Etat :Vendu
Prix :42 000 €
Lot :n° Lot n°8
Surface total :550m²
Façade :16m²
Etat :Vendu
Prix :42 000 €
Lot :n° Lot n°9
Surface total :870m²
Façade :16m²
Etat :Vendu
Prix :51 000 €
Lot :n° Lot n°10
Surface total :870m²
Façade :16m²
Etat :Vendu
Prix :51 000 €
Lot :n° Lot n°11
Surface total :869m²
Façade :16m²
Etat :Réservé
Prix :51 000 €
Lot :n° Lot n°12
Surface total :873m²
Façade :16m²
Etat :Vendu
Prix :51 000 €
Lot :n° Lot n°13
Surface total :775m²
Façade :22m²
Etat :Disponible
Prix :51 000 €

Partager le terrain en vente :

Nous utilisons des cookies
Avec votre consentement, SIGH utilise des cookies ou des technologies similaires et traite les données personnelles sur la base d'intérêts légitimes.

En cliquant sur "Ajuster les paramètres de confidentialité", vous accéderez à la liste détaillée de ces cookies.

Vous pouvez modifier et personnaliser les paramètres aux fins du traitement des cookies et des traceurs pour lesquels vous avez donné votre consentement. Vous pouvez également vous opposer à l'ensemble de ces traitements. Votre choix sera enregistré pour une durée de 6 mois.

Nous vous invitons à lire la politique de gestion des cookies de SIGH.
Technique
Ces cookies sont nécessaires au bon fonctionnement de notre site Web et ne peuvent pas être désactivés dans notre système.
Audience
Nous utilisons ces cookies pour fournir des informations statistiques sur notre site Web. Elles sont utilisées pour mesurer et améliorer les audiences.