Société Immobilière Grand Hainaut 03 27 14 80 80 Nous contacter
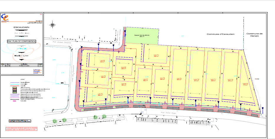
VALENCIENNES : 4 terrains viabilisés à vendre

Publié le 4 mars 2025

Référence : Secteur Dutemple

VALENCIENNES : 4 terrains viabilisés à vendre

A partir de 53 900€
A partir de 495 m²
N° de lot
Surface totale
Façade
Etat
Prix
Lot :n° 1
Surface total :519 m²
Façade :16.30 m
Etat :réservé
Prix :56 500€
Lot :n° 2
Surface total :508 m²
Façade :16.30 m
Etat :réservé
Prix :55 300€
Lot :n° 3
Surface total :500 m²
Façade :16.29 m
Etat :disponible
Prix :54 400€
Lot :n° 4
Surface total :495 m²
Façade :16.34 m
Etat :disponible
Prix :53 900€

Contact : M. Christophe FEUILLET – Tél. 06 26 07 38 20

Email : cfeuillet@sigh-habitat.fr

Partager le terrain en vente :

Nous utilisons des cookies
Avec votre consentement, SIGH utilise des cookies ou des technologies similaires et traite les données personnelles sur la base d'intérêts légitimes.

En cliquant sur "Ajuster les paramètres de confidentialité", vous accéderez à la liste détaillée de ces cookies.

Vous pouvez modifier et personnaliser les paramètres aux fins du traitement des cookies et des traceurs pour lesquels vous avez donné votre consentement. Vous pouvez également vous opposer à l'ensemble de ces traitements. Votre choix sera enregistré pour une durée de 6 mois.

Nous vous invitons à lire la politique de gestion des cookies de SIGH.
Technique
Ces cookies sont nécessaires au bon fonctionnement de notre site Web et ne peuvent pas être désactivés dans notre système.
Audience
Nous utilisons ces cookies pour fournir des informations statistiques sur notre site Web. Elles sont utilisées pour mesurer et améliorer les audiences.